Periodista Digital
El huracán Melissa golpea el Caribe: Jamaica, en alerta máxima ante su paso devastador


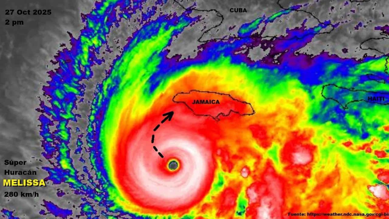
El huracán Melissa continúa avanzando por el mar Caribe con vientos sostenidos superiores a los 277 km/h, lo que lo mantiene como un huracán de categoría 5, según la Mesa Técnica de Alertas por Ciclones Tropicales (MTACT).
Su ojo se ubica a 245 kilómetros de Kingston, Jamaica, y su desplazamiento lento hacia el occidente mantiene a la isla en estado de alerta máxima ante la inminencia de lluvias torrenciales, marejadas e inundaciones costeras.
(Le puede interesar: Islas del Caribe en alerta por aumento de intensidad de huracán Melissa)
Jamaica refuerza medidas de emergencia
Las autoridades jamaicanas han ordenado el cierre de escuelas, suspensión de vuelos y evacuación preventiva en comunidades costeras del sur y del este del país. Los servicios meteorológicos locales advierten que Melissa podría provocar daños estructurales severos, cortes de energía prolongados y deslizamientos de tierra en zonas montañosas.
El primer ministro Andrew Holness pidió a la población acatar las recomendaciones de los organismos de emergencia y permanecer en refugios seguros mientras el huracán se aproxima. “Estamos ante un fenómeno de gran magnitud. La prioridad es proteger la vida de los ciudadanos”, declaró en un mensaje televisado.
Las autoridades han dispuesto más de 150 refugios temporales y unidades de rescate en los principales centros urbanos, entre ellos Kingston, Port Royal y Montego Bay, donde el oleaje ya supera los cinco metros de altura.
Asi se encuentra Jamaica a 15 horas de la llegada de Melissa pic.twitter.com/AdBmFTAdGD
— Max Henriquez Daza (@HenriquezMax) October 27, 2025
Una amenaza para el Caribe occidental
Aunque el huracán se mueve lentamente hacia el occidente, su influencia se extiende por gran parte del Caribe. Las islas de Cuba, Haití y República Dominicana permanecen bajo vigilancia meteorológica, mientras que los modelos de trayectoria sugieren que Melissa podría acercarse a las costas de Belice y la Península de Yucatán (México) en los próximos días.
En Colombia, el fenómeno mantiene activo el Protocolo Nacional de Alerta por Ciclones Tropicales. Las Islas Cayos Norte del Archipiélago de San Andrés, Providencia y Santa Catalina se encuentran en estado de aviso (amarillo), mientras que los departamentos de La Guajira, Magdalena, Atlántico, Bolívar, Sucre, Córdoba y Antioquia (Golfo de Urabá) permanecen en vigilancia (verde).
Aunque el huracán se aleja del territorio colombiano, se prevén precipitaciones moderadas y aumento del oleaje en el litoral centro y las áreas insulares del Caribe.
Le puede interesar:
Tormenta Melissa se aleja del Caribe colombiano, pero las lluvias no dan tregua
Un ciclón histórico
Melissa se ha convertido en uno de los ciclones más intensos de la temporada 2025 en el Atlántico, con una estructura simétrica y un ojo bien definido que evidencia su potencia. Los expertos del Centro Nacional de Huracanes (NHC) advierten que su fuerza podría mantenerse durante las próximas 48 horas antes de comenzar a debilitarse gradualmente.
Este fenómeno se desarrolla en una temporada que ha registrado una actividad ciclónica inusualmente alta, impulsada por las altas temperaturas del océano Atlántico y la influencia del cambio climático.
Actualidad

Luis Alonso Colmenares habla sobre la muerte de Jaime Esteban Moreno y las coincidencias con la de su hijo Luis Andrés
Por Oscar Repiso

Hallan petardos de bajo alcance en tres tiendas de Falabella en Bogotá
Por Oscar Repiso

Padres de Jaime Esteban Moreno, estudiante de Los Andes, se pronuncian tras su muerte
Por Oscar Repiso

William Dau, exalcalde de Cartagena, inhabilitado por 12 años: ¿cuál es la razón?
Por Oscar Repiso
Resumen semanal

¿Cómo se originó el huracán Melissa y por qué aumentó su fuerza?
Por María Fernanda Sierra

Luis Alonso Colmenares habla sobre la muerte de Jaime Esteban Moreno y las coincidencias con la de su hijo Luis Andrés
Por Oscar Repiso

Policía apunta a la ‘Segunda Marquetalia’ como determinador del magnicidio de Miguel Uribe Turbay
Por Heidy Johana Palacio Sánchez

Villavicencio se alista para el Torneo del Joropo con plan especial de movilidad
Por Carlos Grosso